Vente Neuf OBERNAI
480 000 € * - 120 m2 - Réf. GRA94

Vente Neuf
OBERNAI
480 000 € *
Prix : 480 000 € *
* Les honoraires d'agence seront intégralement à la charge du vendeur
  • 120 m2

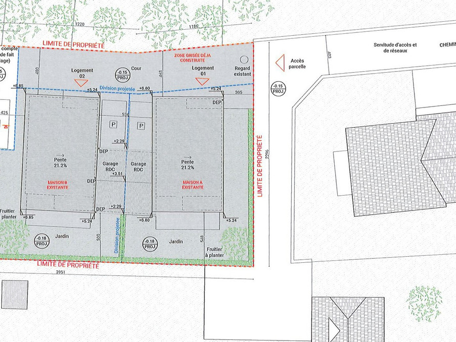
A Obernai, au calme d'une impasse privée et à 5mn à pied du centre ville, découvrez cette maison contemporaine (RE2020) de 120 m² sur 3 ares
Elle se composera d'une entrée avec placard, un beau séjour plein sud donnant sur la terrasse et le jardin, une cuisine ouverte et un cellier.
A l'étage, trois belles chambres et une salle de bain. (version PAD)
  • Référence : GRA94
  • Ville : OBERNAI
  • Transaction : Vente
  • Type de bien : Neuf
  • Prix de vente : 480 000 €
  • Surface : 120 m2
  • Terrain : 300 m2
%
%

Vos mensualités

*apport calculé sur une base de 20%

Informations non contractuelles, fournies à titre indicatif
67 - Bas Rhin
Montant En % du prix du bien
Emoluments notaire %
Copies & formalités notaire 800 %
Total notaire %
Droits de mutation 5.80%
Publicité foncière 0.10%
Debours 400 %
TVA (sur part notaire) %
Total %
Informations non contractuelles, fournies à titre indicatif
Contactez-nous
* champs obligatoires
Nous contacter
Voir le téléphone
GRANDEST HABITAT

20 Boulevard d'Europe
67210 Obernai

  • Alerte email
  • Favoris 0
  • 0